Участок Севастополь, б.Стрелецкая, Стрелецкий пр-д 21000у.е (#157900)
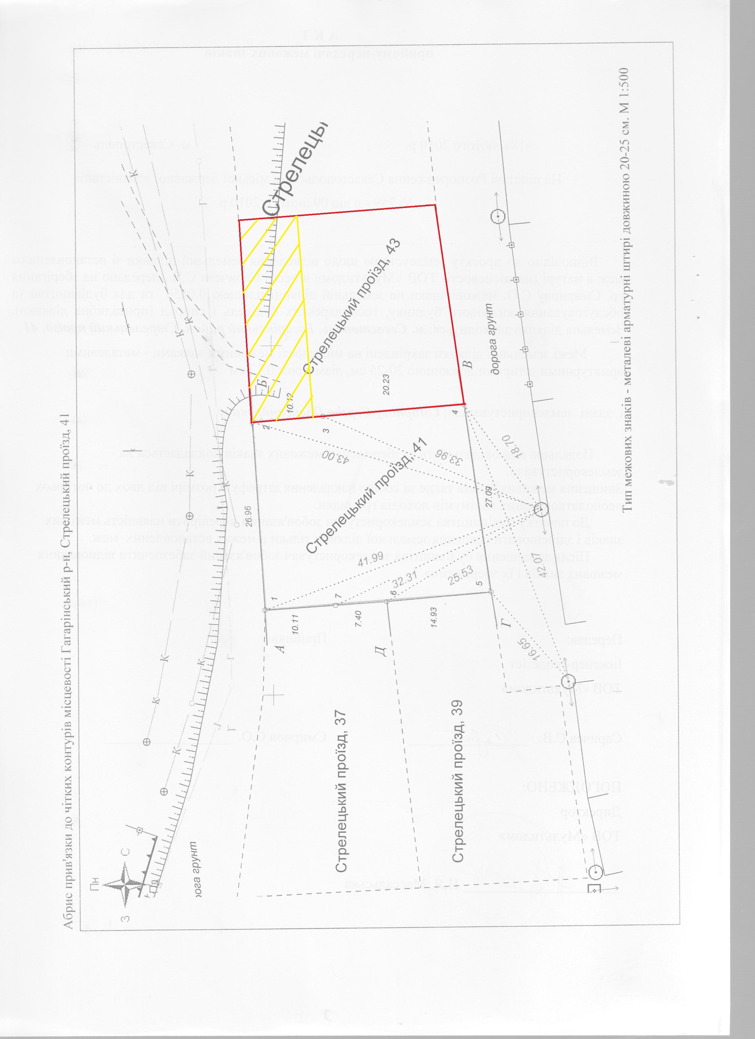
Адрес местонахождения:Севастополь,б.Стрелецкая,Стрелецкий пр-д
Целевое назначение:для строительства инд. дома и хоз.построек
Площадь земельного участка – 0,085га(8,5сот.)
Правоустанавливающие документы – ГосАкт
Коммуникации –свет, вода,газ, в непосредственной близости .
Стоимость -21000 у.е
Широкий выбор недвижимости на сайте ГеоКрым
Целевое назначение:для строительства инд. дома и хоз.построек
Площадь земельного участка – 0,085га(8,5сот.)
Правоустанавливающие документы – ГосАкт
Коммуникации –свет, вода,газ, в непосредственной близости .
Стоимость -21000 у.е
Широкий выбор недвижимости на сайте ГеоКрым
ВНИМАНИЕ!
Данное объявление скорее всего недействительно. Срок его действия истек 20.04.2014
Данное объявление скорее всего недействительно. Срок его действия истек 20.04.2014
Контактная информация:
Статистика:
показов: 516;
добавлено: 02.04.2014;
обновлено: 10.04.2014; срок объявления истек: 20.04.2014 (-4322 дн[я,ей] назад).
